Short
Term Design Solutions
Short
term design solutions focus on improving 4th Street without changing the
existing built form. These solutions are quite simple and can be
implemented at the scale of the individual business or building.
Canopies:
-
canopies
distinguish between individual businesses in one building
-
varying
colour adds vibrancy to the streetscape
Rainbow
Road:
-
this solution
is for the east side of 4th street between 21st St. and 22nd St.
-
this location
is characterized by fragmented building frontage and lost space (open parking
lots)
-
new additions
provide a continuous sidewalk frontage, eliminating the previously disjointed
frontage
-
planters
provide a lower frontage so pedestrians can see the Flower Cottage's artistic
walls
Metered
On-Street Parking:
-
creates
a buffer between pedestrians and vehicular traffic
-
should
be encouraged along the entirety of 4th Street
-
time limits
should vary
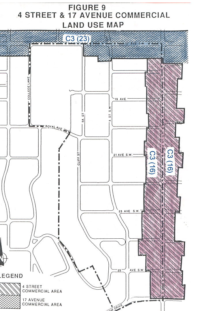
Land
Use Designation:
-
change
Mission side from C-3 (23) to C-3 (16)
-
maintains
consistency with Cliff Bungalow side of 4th St.
-
ensures
buildings are more likely to keep with a human scale